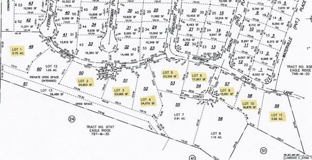
2884 BERWICK AVENUE, GILROY CA 95020
- 24,853 sq.ft. lot
Property Description
Spectacular setting in the gated community of Eagle Ridge Golf Club. Featuring 9 custom home lots ranging in size from 17,067 sq. ft. to 35,719 sq. ft. Prices range from $330,000 to 450,000. Many of the lots back to wooded open space. Eagle Ridge is a unique neighborhood offering activities for adults and children in addition to various social groups. Most activities are included in the low HOA dues. All lots are a short walk to community amenities including junior Olympic pool, tennis, pickleball and bocce courts, summer concert series at the large park with a playground, barbeque grills and sport court. All near the homeowner clubhouse. Golf leagues for women and men offered as well. There is something for everyone at Eagle Ridge.
Listing Courtesy of Mary Squier, Christie's International Real Estate Sereno
Use of this site means you agree to the Terms of Use
Based on information from California Regional Multiple Listing Service, Inc. as of March 28, 2026. This information is for your personal, non-commercial use and may not be used for any purpose other than to identify prospective properties you may be interested in purchasing. Display of MLS data is usually deemed reliable but is NOT guaranteed accurate by the MLS. Buyers are responsible for verifying the accuracy of all information and should investigate the data themselves or retain appropriate professionals. Information from sources other than the Listing Agent may have been included in the MLS data. Unless otherwise specified in writing, Broker/Agent has not and will not verify any information obtained from other sources. The Broker/Agent providing the information contained herein may or may not have been the Listing and/or Selling Agent.



























