0 CALERA TERRACE, PACIFICA CA 94044
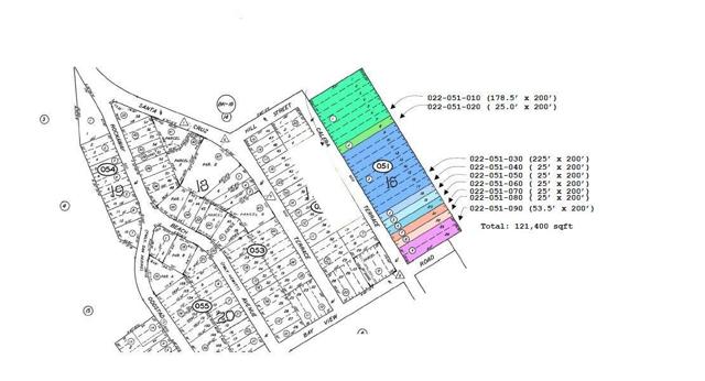
- 121,400 sq.ft. lot
Property Description
Discover an exceptional opportunity in Pacifica's sought-after Rockaway Beach district. Spanning approximately 121,400± sq ft across nine APNs, this expansive collection of parcels sits above the coastline in a peaceful setting surrounded by natural beauty. The land offers striking hillside and ocean-view outlooks, creating an ideal canvas for future vision and potential. Positioned along Calera Terrace, currently a paper street, the site combines privacy with convenience. Just moments from Linda Mar State Beach, residents and visitors can enjoy surfing, fishing, and miles of shoreline. Shopping, dining, and everyday amenities are nearby, and the location provides effortless access to San Francisco, SFO Airport, and major routes to the Peninsula and Silicon Valley. A rare chance to secure significant land in a scenic coastal community with outstanding proximity to both leisure and commuter destinations.
, KW Advisors
Use of this site means you agree to the Terms of Use
Based on information from California Regional Multiple Listing Service, Inc. as of March 31, 2026. This information is for your personal, non-commercial use and may not be used for any purpose other than to identify prospective properties you may be interested in purchasing. Display of MLS data is usually deemed reliable but is NOT guaranteed accurate by the MLS. Buyers are responsible for verifying the accuracy of all information and should investigate the data themselves or retain appropriate professionals. Information from sources other than the Listing Agent may have been included in the MLS data. Unless otherwise specified in writing, Broker/Agent has not and will not verify any information obtained from other sources. The Broker/Agent providing the information contained herein may or may not have been the Listing and/or Selling Agent.






















