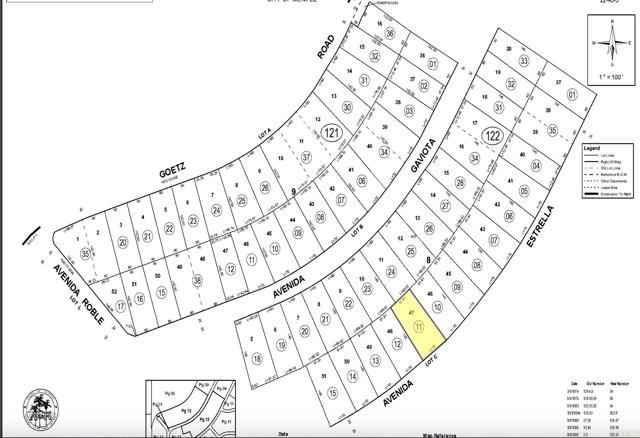
0 AVENIDA ESTRELLA, MENIFEE CA 92587
- 10,019 sq.ft. lot
Property Description
Great opportunity to secure a nearly 1/4 acre (10,000+ sqft) lot in the growing city of Menifee! Located in an established neighborhood, with paved roads and close access to utilities, this parcel is ideal for building your dream home or holding as an investment. Enjoy the access to shopping, schools, and the 15 & 215 freeways. (Note that the lot for sale is the left half of the open land between the two homes.) The Menifee area is growing fast -- secure your piece of this vibrant community today!
Listing Courtesy of John Graef, eXp Realty of Southern CA
Exterior Features
Use of this site means you agree to the Terms of Use
Based on information from California Regional Multiple Listing Service, Inc. as of March 9, 2026. This information is for your personal, non-commercial use and may not be used for any purpose other than to identify prospective properties you may be interested in purchasing. Display of MLS data is usually deemed reliable but is NOT guaranteed accurate by the MLS. Buyers are responsible for verifying the accuracy of all information and should investigate the data themselves or retain appropriate professionals. Information from sources other than the Listing Agent may have been included in the MLS data. Unless otherwise specified in writing, Broker/Agent has not and will not verify any information obtained from other sources. The Broker/Agent providing the information contained herein may or may not have been the Listing and/or Selling Agent.




















