0 E AVE M8, PALMDALE CA 93591
- 113,256 sq.ft. lot
Property Description
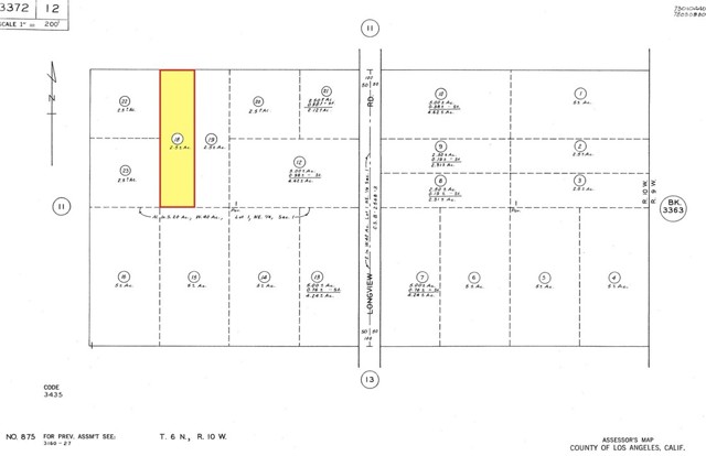
APN: 3372-012-018 Coordinates: 34.641361, -117.888250 2.6 acres for sale in LA County. This lot is located in Palmdale, CA just off of 135th ST and E Ave M8. Zoning is LCA21 per county records.
Listing Courtesy of NYDIA DEL RIO, HOME & LAND SOURCE
Exterior Features
Use of this site means you agree to the Terms of Use
Based on information from California Regional Multiple Listing Service, Inc. as of March 17, 2026. This information is for your personal, non-commercial use and may not be used for any purpose other than to identify prospective properties you may be interested in purchasing. Display of MLS data is usually deemed reliable but is NOT guaranteed accurate by the MLS. Buyers are responsible for verifying the accuracy of all information and should investigate the data themselves or retain appropriate professionals. Information from sources other than the Listing Agent may have been included in the MLS data. Unless otherwise specified in writing, Broker/Agent has not and will not verify any information obtained from other sources. The Broker/Agent providing the information contained herein may or may not have been the Listing and/or Selling Agent.












